Bus drivers always wish our roads would be wider. It's odd that the ones who are in charge of all the buses are the ones who just begged not to have widen their portion of the road!
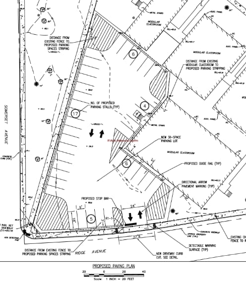
The Lakewood Board of Education on Tuesday night presented a plan to the Planning Board to construct a new parking spaces near the Middle School on Ridge Avenue.
The application was represented by Attorney Michael Inzelbuch, Esq. and Engineer Robert Walsh, PE of EI Associates.
The location of the new parking lot is situated at the northeast corner of the intersection of Ridge and Somerset Avenue, adjacent to existing modular school trailers.
The new parking lot will have two-way access to/from Ridge Avenue. The site plans depict 38 new parking spaces.
The project is deemed Major Development pursuant to the state's stormwater management regulations. Accordingly, stormwater management is proposed via a network of 8 precast concrete dry wells connected to 2 proposed Manufactured Treatment Devices to address stormwater quality.
The site plans do not depict any widening of Ridge Avenue. Board members noted that the Township standards require that the Board of Education widen their frontage of the roadway. This is especially important as this parking lot will be located immediately adjoining the intersection, and the parking spaces will be close to the roadway sight triangle.
Mr. Walsh pushed back hard, committing only to "further discuss the matter with the Department of Public Works, the Lakewood Engineering Department and Traffic Safety Unit."
Board members also asked for ADA-compliant parking spaces and ADA-compliant curb cuts. Mr. Walsh waived them away.
As the Board of Education is a government entity, the presentation to the Planning Board is only a "courtesy review" so the Board did not have much recourse but to approve the plan as presented.
The parking lot project will also require approval from the Ocean County Soil Conservation District and the New Jersey Department of Education.
To join a FAA News WhatsApp Group, click here.
To join the FAA News WhatsApp Status, click here.


No comments:
Post a Comment